Potassium: Top 5 Things You Need to Know

We’ve talked about nitrogen and phosphorus, and now it’s time to break down the next essential nutrient: potassium. From root growth and drought tolerance to photosynthesis and protein, there’s not much that this nutrient doesn’t impact and improve in crops.
1. Potassium is known as the “quality nutrient”
While there are 17 essential nutrients when it comes to plant health, K stands out for how it improves nearly all functions of the plant, and, therefore, the overall plant quality. Potassium is the activator in more than 80 essential enzyme reactions. This is critical in managing environmental stress in plants, including drought, disease and pest tolerance. With the volatility of weather factors we’ve seen increase over the past few years, building stress tolerance to maintain plant quality is a must.
2. Potassium uptake happens earlier than nitrogen and phosphorus
Time of uptake varies by plant and nutrient, but for the most part, the majority of potassium is absorbed by crops at an earlier growth stage than nitrogen and phosphorus. Plants stockpile this nutrient early in the season, and pull from their reserves later in the year. They can also store K in much greater concentrations than what can be found in the surrounding soil.
But, plants’ ability to absorb high concentrations of potassium has its drawbacks. If you apply too much potash, or any other form of K fertilizer, plants will soak up more potassium than they need, which creates an imbalance with magnesium and calcium, often causing a deficiency in those nutrients.
3. Potassium plays a key role in regulating water
Potassium is responsible for water’s movement and retention throughout much of the plant. This impacts water pressure and standability. When K is low, lodging can happen. The positive charges on potassium ions attract the negative charges on water molecules, meaning where potassium goes, water goes with it. If your plant is low on potassium, it’s likely low on water as well. Because potassium helps support water movement, it also aids in the flow of other elements, such as carbohydrates, throughout the plant.
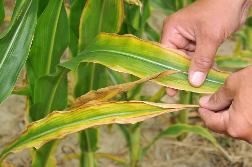
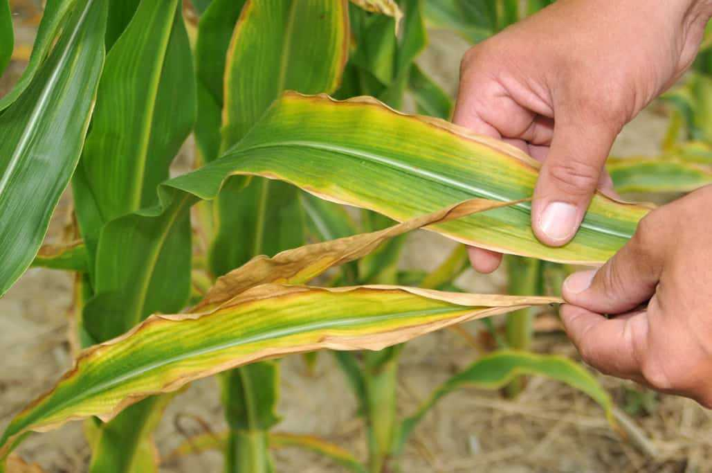
4. Potassium deficiency is hard to spot from the road
Plants pull potassium from the oldest growth to the newest, so deficiencies can’t be easily identified by a glance at the field. Crops may look like they are thriving from the top, but show signs of deficiency lower on the plant. A burned appearance starting at the tip of a leaf and going down the outside can signal potassium deficiency. Plants deficient in K look similar to ones deficient in N, but the yellowing is concentrated on the outside of the leaves with potassium deficiency, whereas nitrogen deficiency causes yellowing that starts in the middle and works its way out.
5. Potassium can be leached through leaf damage
Potassium is found in cell sap, meaning torn and damaged leaves bleed K right onto the ground. Hail is a common culprit of damaged leaves. Hail storms early in the season have a greater bounce-back rate due to the potassium reserves crops can pull from. Unbalanced pH levels caused by over- or under-liming can also cause potassium levels to drop as it is leached away by water.
Are your crops struggling to maintain healthy potassium levels? Look to BW-KPlus, BW-K Hume or BW-PiKSi Dust Plus—or get in touch with one of our agronomists to find the right solution for you.